Skip to content
Zemljišče solastniški delež Mašera Spasićeva 8 Ljubljana
Region
Osrednjeslovenska
Purpose
Sale
Property Type
Land
Property Area
188.80 m2
Price
180,000.00 EUR

Basic information

Price
Price
180,000.00
EUR

ID

104

Location

Slovenia

Region

Osrednjeslovenska

Purpose

Sale

Type of sale

Owned properties

Property Type

Land

Category

Buildable land

Energy Rating

Energy Performance Certificate not required

City

1000 Ljubljana

Address

Mašera-Spasićeva ulica 8

Land Area

188.80 m²

Podrobnosti o nepremičnini

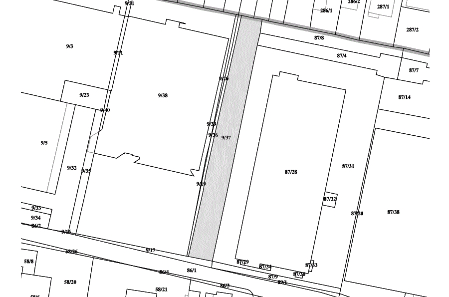
Predmet prodaje je solastniški delež 4/25 zemljišča, parc. št. 9/37, k.o. Bežigrad, ki v naravi predstavlja (12) dvanajst zunanjih samostojnih parkirnih mest v skupni površini 188,80m2 pred poslovnim objektom na naslovu, Mašera – Spasićeva 8, 1000 Ljubljana.

Lastnik/prodajalec nepremičnine ne daje nobenih garancij in jamstev za razvoj projekta ali možnosti  gradnje za predmet prodaje. Na predmetu prodaje obstaja zakonska predkupna pravica predkupnih upravičencev, (solastnikov). 

* Cena je informativna oz. pričakovana. Oglas ne zavezuje lastnika k prodaji nepremičnine oz. sprejetju prejete ponudbe.

*V prodajno ceno ni vključen pripadajoči davek, ki ga plača kupec.

* Ta oglas ni ponudba za sklenitev pogodbe, temveč samo vabilo k izkazu interesa za nakup nepremičnine. V primeru izkazanega zadostnega interesa za nakup nepremičnine lahko prodajalec po lastni presoji prosto prodaja nepremičnino ali izvede postopek z javnim povabilom.

* NLB Real Estate d.o.o., Ljubljana, si prizadeva za navedbo pravilnih in posodobljenih informacij, kljub temu pa obstaja možnost napak pri vnosu podatkov v oglase. Uporabnikom svetujemo, da pred sprejetjem kakršnekoli odločitve na podlagi informacij, objavljenih v oglasu, pri prodajalcu preverijo točnost podatkov. NLB Real Estate d.o.o., Ljubljana, si pridržuje pravico do sprememb informacij v oglasu kadarkoli brez predhodnega obvestila in/ali strinjanja uporabnikov.

 

Location
tag 1
tag 2
Ljubljana

Place

Mašera Spasićeva 8 Ljubljana

Want more information?
Fill out the form below to contact the property manager, who will be happy to provide you with additional information about the property and answer any questions you might have.
Dejan Ozimek
Dejan Ozimek
Asset Manager
Contact form

0
/
50
Enter your full name, this field is mandatory
0
/
50
Enter your e-mail address, this field is mandatory
0
/
500
Enter your question, this field is mandatory

Privacy Policy

This field is mandatory.
Similar properties